From collection Creating Acadia National Park: The George B. Dorr Research Archive of Ronald H. Epp
Page 1
Page 2
Page 3
Page 4
Page 5
Page 6
Page 7
Page 8
Page 9
Page 10
Page 11
Page 12
Page 13
Page 14
Page 15
Page 16
Page 17
Page 18
Page 19
Page 20
Page 21
Page 22
Search
results in pages
Metadata
[Series III] Cambridge
/
Caubnidge
Cambridge Historical Society Perceadings.
v.30, (1945) Pp. 11-27.
Ant
with
11/07/
PAPERS READ DURING THE YEAR 1944
HARVARD SQUARE IN THE 'SEVENTIES
AND 'EIGHTIES
By Lois LILLEY HOWE
Read January 25, 1944
T
HESE Reminiscences, which should really have been called Har-
vard Square and its Environs in the 'Seventies and 'Eighties, have
been in the back of my mind long enough for me to have verified details
Dee
X
by talks with Miss Elizabeth Harris and Mrs. Archibald M. Howe, both
1873
of whom have been gone for years.
I have also to thank my old friends Charles F. Batchelder, Frances
foundations
Weld Carret and George L. Winlock for reading and commenting on
my statements - and Walter B. Briggs, always helpful and interested,
who almost the last time that I saw him suggested my going to Mr. Ed-
anniversalism
ward L. Gookin at the Widener Library, who has shown me many
p.r
photographs of the Square as I remember it.
At the second meeting of this Society, being its First Annual Meet-
ing, October 30, 1905, Mr. Charles Eliot Norton gave his Reminiscences
of Old Cambridge. These went back nearly as many years in his lifetime
Halyoth House p.23
as mine do now.
He said that in his youth Harvard Square was known as the Market
Place. I remember that we were amused because the Misses Palfrey
spoke of it as "The Village." I have seen it change from the focal point
of a small town to what it is now, a suburban centre, distinguished from
others of its kind only by the fact that the buildings of Harvard Univer-
sity form part of its boundaries and SO add to its prestige.
But in the late 'seventies and early 'eighties of the last century, Old
I 2
THE CAMBRIDGE HISTORICAL SOCIETY
Cambridge was still a small College town and had an atmosphere of its
own. As a child, I was allowed to go to school or anywhere else without
any escort other than a contemporary one. I was sent to the Square on
errands; I even disported in the College Yard, which lay between Harvard
Square and "our house" on the corner of Oxford and Kirkland Streets,
now known as the Peabody House.
There were, of course, two ways of going to Harvard Square from
this corner, either across the College Yard or around the outside. If you
were less than say fifteen, you naturally went across - who would dream
of going all the way round?
"Alas! Regardless of their doom
The little victims play,
No thought have they of ills to come
Nor care beyond to-day."
I supposed vaguely that "some day" I should be "grown up," a desir-
able state when the round comb would disappear, the braided pigtail be
"done up" on top of my head, and my dress would be long and flowing.
Then of course I should be able to do anything; that I should then be told
"You must never go through the College Yard" never occurred to me. It
was a great blow when it came.
I don't think I shall ever forget my amused surprise when I went
through the Yard one summer two or three years ago when the girls of
the summer school occupied the dormitories and I saw them lying about
on the grass - not in Victorian costumes, either.
So across the "Yard" I always went. First across the Delta, and
diagonally over to the gateway between Thayer and Holworthy. There
is a handsome wrought-iron gate there now, with brick posts and "1879"
on the lantern above it, but at the time I am thinking of the members of
the Class of 1879, who were eventually to present that gate to the College,
were either undergraduates or just adjusting themselves to life in a new,
and perhaps bleak, world. The College fence was like that still around
the Common, rough granite posts, with squared wooden rails between,
except that the Common fence has but two rails and the College fence
had three. The Delta had originally had the same kind of fence, but
around the Gymnasium, a building dimly reminiscent of an early Byzan-
tine Church, standing where the Fire Station now stands, the fence was
HOWE: HARVARD SQUARE IN THE 'SEVENTIES
13
diversified by having iron chains instead of wooden rails between the
posts. They hung rather loosely but not loosely enough to be comfortable
to swing on.
Once inside the Yard there was a real choice of route to make, whether
to go left along by Thayer Hall, turning diagonally in front of Univer-
sity, or at once to turn right toward the College Pump, where was pre-
sented another choice, whether to go across to Church Street, or again
diagonally between Massachusetts and Matthews; and almost everybody
but me seems to have forgotten that there was another pump between
those two buildings. Pumps have possibilities as sources of entertainment.
All the walks were paved with flagstones and of course it was very im-
portant not to step on any of the cracks.
In those pre-telephone days the butchers and the grocers kept sepa-
rate shops. Both came around in their carts every morning and took
orders for food which they delivered later. Some butchers to be sure
came to the door with the meat in their carts and the customer could go
out and look at it and buy it right at her own door. There was a man,
named Raymond, with whom my aunt dealt, who did his business this
way. He drove a white-canvas-covered cart and wore a white frock. He
lived in Chauncy Street, which has come up in the world since then, at
number 23. I think he built that house SO long occupied by Mr. and Mrs.
George H. Browne, and the little apartment house next door was made by
the Brownes out of Raymond's stable. He was a real character and on
one occasion, when my aunt had expressed herself with some acerbity
about a verv tough leg of mutton which he had sold her, he said softly,
"Why Mis's Devens, you do surprise me; Mis's Storer, she had the mate-
leg and she thought it was real good."
My father ordered the meat himself and he dealt with Mr. Farmer,
on the corner of Church Street. Farmer had succeeded to the business of
a man named Wallace, of whom it was said that his last dying words were,
"Don't forget Dr. Howe's Sunday roast o' beef."
Opposite Church Street was then, as now, the main entrance to the
College Yard, the Gate of Honor, through which the Governor of
Massachusetts, escorted by the Lancers, drove on Commencement Day.
It was about one carriage wide with dressed granite posts and an iron
gate. On each side was a footpath gateway with three turned iron posts
in it. All the foot gates had posts in them; some were wooden posts with
14
THE CAMBRIDGE HISTORICAL SOCIETY
close-fitting iron caps. The church was of course opposite, but Charles
Sumner did not sit presiding over the open space between. He was, I
think, sitting on the Public Garden in Boston. His present location is an
appropriate one for he roomed in Hollis and Stoughton while in College
and boarded with my Grandmother at Number Two Garden Street, now
Dr. Norris's house.
There was a section of the Common, bounded by Garden Street,
North Avenue, Holmes Place, and what was afterward named Peabody
Street. Through this ran Kirkland Street to Garden Street. It was un-
doubtedly a relic of the days when the Common was not fenced in, and
was part of the road to Watertown. It was the direct road from our
house to Two Garden Street. It was not of much interest to the City and
my elder brother and sister, who frequently went to sec my grandmother,
named it "The Slough of Despond." (They were interested in Pilgrim's
Progress.)
Of the two little Commons thus formed, one was for obvious reasons
called "The Flag Staff Common" and the other was to us "The Mad Bull
Common." I think a sick cow had been pastured there once and she prob-
ably bemoaned her fate. Now the Subway has taken up most of the
space, but the old fence is still left.
Church Street was primarily connected in my mind with going to
Sunday School in the ugly old Parish House, or, as we called it, the
Vestry, of the Unitarian Church, where Miss Edith Longfellow was my
teacher until she married Richard Henry Dana 3rd. But there was more
or less of interest in the street itself, in which there were a variety of
features. There was no high and forbidding brick wall on the north side
but an open space extending all along back of College House. It be-
longed to the College and had a fence like the College fence, with an
opening through which carts could pass to the back doors of the stores.
There was also an unpretentious house which had been built for Jones,
the College Janitor, a well-known character.
There was a fire in Hollis Hall, in the top story, some time in the
early part of 1876. I remember it very well for it was obliging enough to
break out in a spectacular manner just as we were having recess at Miss
Page's School on Everett Street. We could see it very clearly all across
Jarvis Field and Holmes Field and we went in a body. So did all the
students and all the faculty of Harvard College. In the middle of the
HOWE: HARVARD SQUARE IN THE 'SEVENTIES
15
excitement came twelve o'clock and the sound of the College bell ringing
for a recitation which no one was likely to attend. Mr. George Martin
Lane was heard to say, "There is Casabianca Jones doing his duty as
usual." Many years afterward, Dr. George P. Cogswell had his first
office in this Church Street house.
The other end of the Street really belonged with Brattle Street. On
the southwest corner was the Bates house, with its gates, its arbor and its
garden, to my mind one of the beauty spots of Cambridge. The house
was moved to Hawthorn Street when Church Street was widened in
1929. Samuel Chamberlain has photographed it there. I wish he could
have seen it in its original setting. Its north wall was on the street line and
was continued by a white board fence which enclosed the garden. There
were two or three other pleasant-looking houses on that side of Church
Street. At the northwest corner the Francis Dana House also belonged to
Brattle Street, but there still stands high up on Church Street what I used
to hear called "Dr. Wyman's old house," though Dr. Wyman had not
lived in it for many years. It has been saved for us by various organiza-
tions and is now occupied by the Red Cross. Miss Jaques took boarders
there. Miss Harris told me that she had been trained as a tailoress and that
her mother used to wear a white turban. Miss Julia Watson lived with
her. In the Unitarian Church we thought nobody could arrange flowers
as well as Miss Watson. Mrs. Stephen G: Bulfinch, the daughter-in-law
of Charles Bulfinch, the celebrated architect, lived here with her daughter,
Ellen Susan, who was a friend of my Sister Sally's and a member of her
"Club," the first of the Sewing Clubs. When I was about fifteen, I took
lessons in "sketching" from Miss Bulfinch in the pleasant southwest room
on the second floor. I remember a wide upper hall with a figured oilcloth
on it.
The greater part of the north side of the street was taken up by Pike's
Stable (afterward Blake's). It would be difficult to imagine now how im-
portant this was to Old Cambridge. From it came numbers of "hacks,"
each with two horses, to take the quality to dances, lectures and concerts,
to weddings and funerals, day and evening. In the snowy winter days
the bodies of the hacks were put on runners to form so-called "boohy-
huts." There was a great deal of "seat work" practised; that is, every one
paid for his or her own seat, generally twenty-five cents. The driver
picked up a load, going or coming. It might be strange to an outsider to
16
THE CAMBRIDGE HISTORICAL SOCIETY
hear a maid announce "Carriage for Miss Jones and Mr. Eustis" but we
were used to it, and you may be sure that Miss Jones had some other
"girl" to accompany her on the perilous ride home, for no young lady
was ever allowed to go anywhere in a carriage alone with a gentleman.
Muirhead in his book on America, as late as 1893, speaks of the peculiarity
of the Boston custom (and that of Cambridge was the same), which did
not allow a young girl to go anywhere alone in a carriage with a young
man she knew, but allowed her to be chaperoned by any cab driver.
In the middle of the north side of the street you may still see a smug
little brick building, now occupied by A. Lavash, the carpenter, and the
Cambridge School of Art. This had been the Police Station, and next to it
was what had been the fire engine station before both had been moved to
the then new City Building in Brattle Square. The engine house had a
little belfry at the back overlooking the Burying Ground. I suppose this
was where the original fire bell was hung. The site is now occupied by the
Cambridge Motor Mart and the sill of one window is of weathered
granite, on which is deeply cut "CAMBRIDGE 1," a relic of that fire
engine station whose materials had been used for the Motor Mart.
But the most fascinating thing on Church Street I cannot exactly lo-
cate. That was a blacksmith's shop. Mr. Gookin thinks it was on Palmer
Street. Miss Carret thinks there was one on Palmer Street and one on
Church Street too, and both she and George Winlock remember a wheel-
wright's shop which I do not remember. The latter says that A. J. Jones
had a "Carriage Repository" on the corner of Palmer Street, "a narrow,
plain building, three stories high, with three large doors and a projecting
beam at the top to hoist the wagons and carriages." Wherever the black-
smith's shop may have been, I surely did like "to look in at the open door
And loved to see the flaming forge and hear the bellows roar."
Errands for my family usually sent me elsewhere. The path between
Massachusetts and Matthews came out of the Yard through a gate with
five iron posts in it, just about opposite the centre of College House or
University Row, which then, as now, had shops all along its lower story.
This gate was approximately where the present gate of the Class of 1875
stands, between Straus and Lehman Halls. Danc Hall, then the Harvard
Law School, afterward the first home of the Harvard Co-operative Soci-
ety, stood just to the south of it.
I cannot remember all the shops that were there but Farmer, the
HOWE: HARVARD SQUARE IN THE 'SEVENTIES
17
butcher, as I have said, had that on the corner of Church Street. The
Post Office, which had a peripatetic habit until it had the present building
all of its own, was at one time here. Near where the street bends, the
little triangular shop, now occupied by a florist, was that of one of the
most interesting characters in the town, James Huntington. "Old Hunt-
ington," as we used to call him, was a watch and clock maker of great skill
and a very eccentric individual. Thanks to Mr. Edwin H. Hall, who
gave this Society an account of him in 1925, I can tell you that he was a
descendant of a signer of the Declaration of Independence. He worked
his way through Harvard College, graduating at 30 in the Class of 1852,
and trained other workmen and had enough business to maintain another
workroom, but always himself worked in the little shop. He disliked
publicity and never advertised or had a sign on his shop. He always
signed his bills just "J.H."
A friend of ours, who had a watch she wanted to sell, brought it to him.
He offered her something like eighteen dollars, a very disappointing re-
sponse. Said she, "A man in Washington told me it was worth thirty
dollars." "Did he say he would give you thirty dollars?" was his charac-
teristic reply. He founded a home for orphan children which would
have naturally been called The Huntington Home. This he forbade and
it was called after the street on which he lived, and SO we know it as The
Avon Home.
In the middle of the row was one of the - to me - most important
shops in the Square. Perhaps I was sent there more often for a yeast cake,
a thing very frequently forgotten. This was a grocery store, usually
spoken of as "Wood'n Halls," properly Wood and Hall's. I think there
were two doors, that it was two shops wide, but only one was in common
use. The doors were two-fold and on the door posts were signs in
bold black letters on white grounds advertising their specialties, among
which I only remember W. I. Goods - I suppose rum and molasses from
the West Indian Islands. Inside, I remember the shop as dark and rather
mysterious. I remember dim gas lights made necessary on rainy or winter
days by a broad wooden awning which covered the sidewalk and made it
handy to unload or load barrels and perishable wares in bad weather. I
think also some of the carts were loaded or unloaded in the rear in that
open space that came from Church Street. I certainly have a vision of a
wide door there, open in the summer. On the right of the entrance, inside,
18
THE CAMBRIDGE HISTORICAL SOCIETY
was a long counter where retail business was conducted; on the left, a
mysterious collection of boxes and barrels and the scales on which we
children used surreptitiously to weigh ourselves, though probably no one
would have minded if he had noticed us. It gave us a feeling of being
rather smart and tough, and you must remember that there were no bath-
room scales then and it was important to know how our weights as well as
our ages compared.
Mr. James Wood and Mr. Orrin Hall, two of our finest fellow citizens,
presided in person over the business they had built up. They also had an
assistant named Norris. They did not wear white linen office coats but
long brown linen dusters, and I always think of Mr. Wood as having a
black beard and a square derby hat while Mr. Hall, who was a remarkably
handsome man, figures in my memory as clean shaven with a Panama hat.
At the end of the Row were the two banks, the Charles River Bank
and the Cambridge Savings Bank, side by side, and looking to me just
alike, with green leather doors. After them came Lyceum Hall, where
the Co-operative Society is now. There was an open space or passage
between that and the banks. Lyceum Hall, without being pretentious,
had some claim to architectural style. It had a classic portico at the head
of a wide and imposing flight of steps. Behind this flight of steps there
was, in the basement, an oyster bar of no interest to me. I think a tailor
shop occupied the first story. The Hall was on the second and was ap-
proached by a flight of stairs as nearly continuous as possible with the
outside flight. Up these stairs, on dancing-school days went my little feet
in their rubber boots, around to the right at the top, into and across the
whole length of the hall to the dressing room at the far end and all to the
tune of Mr. Papanti's fiddle as he coached some special pupil. This was
not the original, distinguished "Papanti" but his son, never as good a
teacher and really living on his father's prestige. Still there it was we all
learned to dance. Will there ever be a greater thrill than leading the
Marching Cotillion at the Dancing School Ball?
Brattle Street begins here, though it always seems a part of Harvard
Square to me. The first little fruit stand was tucked into a crack next to
Lyceum Hall. Here one Baccilupi sold peanuts and bananas. Then came
another triangular store where Ramsay dispensed drugs. This was the
shop to which James Russell Lowell alluded in the many times told pun
when he said he would rather see Ramsay's in Harvard Square than
Rameses the Great in Egypt.
UNIVERSITY PRESS
HUMPHREY HOUSE
Corner Brattle Street and Brattle Square
Mount Auburn Street and Brattle Square,
On extreme right, the Brattle House
facing across Brattle Street
HOWE: HARVARD SQUARE IN THE 'SEVENTIES
19
Further on was the fish store of Alexander Millan, with that marvel-
lous aquarium in the window. I wonder whether it is the same aquarium
or its great-grandchild which graces Campbell and Sullivan's shop on
Church now. Do children flatten their noses against the window to see
it? I suppose aquaria are now SO common in the home that it does not
prove as alluring as that did to mc, although to be sure there was beneath
the window one of those dreadful grilles over an area, which were SO
alarming - you really knew you could not possibly fall through, but you
might catch your toc!
David Brewer kept a butcher shop on the further corner of Palmer
Street. His brother Tom, a somewhat noted and notorious character,
ran a similar business across Brattle Square. Around on Brattle Street the
Worcester Brothers had a furniture store in a new brick block, in which,
upstairs on the second floor, was the office of Dr. Andrews, the dentist.
My aunt Mrs. Devens once went to Worcester Brothers to give an order,
for they were famous people for repairing upholstery and taking up and
putting down carpets (this last piece of business being quite unknown in
the present day). She said in her forceful way: "I should like to have all
the brothers come before me and take this order, SO that no one of you
can say, 'You must have given that order to my brother, I never heard
anything about it'."
Between this building and the Bates House on the corner of Church
Street were three houses, variously occupied. That next to the Bates
House was three stories high, tall and narrow with its end to the street,
of the same type as Christ Church Rectory. In this, upstairs was a very
good dressmaker, who must have had great courage to adopt that business,
as she bore the unfortunate, for her, name of Miss Fitz.
These formed the northwest side of Brattle Square, which had at that
time a certain distinction of its own. As you look from Harvard to
Brattle Square today, the vista is closed by the Post Office and the Re-
serve Bank, but then you would have seen the University Press. This
was a very large building and as it was always painted a dirty brown, I
think we all thought that it was a shabby old hulk. As a matter of fact it
was quite a fine piece of architecture, originally built for a hotel, the
Brattle House. It was occupied as a dormitory by students for several
years prior to 1865, about which time it was taken over by the University
Press. Its proportions were good and SO was its detail. It was three stories
high above a brick basement. The stories were of graduated heights, as
20
THE CAMBRIDGE HISTORICAL SOCIETY
was shown by the windows. The walls were divided into panels by
pilasters. There was a mansard roof with dormers and it was crowned by
a cupola. There was a porch on the Brattle Street side and a portico with
Ionic columns on the end toward Brattle Square. There was no more
imposing building in the Square. Certainly not its neighbor across Mount
Auburn Street, the City Building, bearing all the architectural faults of
its period, the Seventies, with a much beturreted mansard roof and an
illuminated clock. This was the home of the Police Station, the Fire De-
partment, and the Police Court. The site is now part of the Boston
Elevated Railway's train yard. In the top of this building was Armory
Hall, destined to outshine Lyceum Hall as a ballroom and eventually to
be cut out for that purpose by Brattle Hall. Here it was that later I and
many of my contemporaries "came out" in society.
My first memory of this hall is of an affair there which may have had
to do with its own opening to society or perhaps with some one of the
spate of Revolutionary Centennial anniversaries which swept this part of
Massachusetts in the early Seventies, beginning with that of the Boston
Tea Party, in December 1873. At any rate there I was with my whole
family (an unusual circumstance in itself) having supper and demanding
chicken salad. I can't think why, nor can I understand why it was refused,
but I was much injured by the refusal. Wandering around to amuse
myself, I met a schoolmate, Winifred Howells, about to have supper with
her father William Dean Howells, distinguished author and fellow towns-
man. Of course I poured out my woes to them. And wasn't it wonder-
ful? I had supper again with them and to my surprise I had a plate of
chicken salad served to me.
There was on Mount Auburn Street some distance to the west of the
City Building, on the corner of Nutting Place, a very pretty old house,
similar to the Bates house. It had two very good gates and was set up on a
retaining wall. As it was painted an ugly brown it did not receive as much
notice as it might have, and no one thought of buying it and moving it
away, as was done with the Bates house. On the other corner of Nutting
Place was a fine large French roofed house of a type much used on North
Avenue (that part of Massachusetts Avenue leading from Harvard
Square to Arlington). This was very handsome in its way and was on
a terrace with a granite retaining wall and had a driveway to the front
door; there must have been a stable somewhere but I do not remember it.
HOWE: HARVARD SQUARE IN THE 'SEVENTIES
2 I
The Cambridge Garage now stands there. A little above this, on the other
side of the street, are still two dignified Victorian houses peering sadly
around past the cheap apartment houses that have been built in their front
yards. All of which shows that Mount Auburn Street once had high
hopes and makes us thankful that we were able to keep the electric cars
off Brattle Street. It was a tough fight to do so.
At the southeast corner of Brattle Square was a dignified Greek Re-
vival type of house with big fluted pillars across the front. It stood up
high, about where the white brick filling-station now is and certainly
gave an air to the locality. This was the Humphrey House, in which lived
Mr. Francis Josiah Humphrey, Secretary of my father's class, Harvard
1832. My father sat between him and John Holmes at all lectures for the
four years of College. The Commencement Punch of that class was
always at our house and Mr. Humphrey always demanded a kiss from
"the baby" before he left.
On the way back to Harvard was the Holly Tree Inn on the east side
of Brattle Street. Of this I have no recollection, but Miss Frances Weld
Carret writes of it as "that picturesque story and a half house with the
porch all across the front and the yard all around it. The whole Square on
that side was SO open with fewer buildings." Miss Carret lived in Appian
Way and probably always approached the Square through Brattle Street,
while I came from the other direction. I have also been told that the best.
beer could be procured at the Holly Tree Inn, but that did not interest
me at all. I think however that it was the first public eating place in that
neighborhood. The students were supposed to eat at Memorial Hall.
At the point between Brattle and Boylston Streets was the hardware
store of I. P. Estes, in a wooden building up quite a number of steps.
I
have been told that his name was Ivory Pearl. His wife was a nurse and I
can testify that she was a good one. In those days there were no trained
hospital nurses.
The name of Boylston Street was originally Brighton Street, obvi-
ously because it led to Brighton. It was changed because Brighton was
not very stylish and moreover it was associated with what we now call
the "Abattoir," then the Slaughter House. When the Abattoir was built,
the fire alarm was rung from it and we always called it "the Brighton
Bull." I suppose it was to this bourn that large droves of cattle were led,
which came through Harvard Square from North Avenue from time to
22
THE CAMBRIDGE HISTORICAL SOCIETY
time at no stated intervals. They were more or less alarming; we some-
times spoke of them as Texan Rangers, but I never heard of their doing
any harm. They probably came from the West via Porter's Station, but,
though usually of an inquiring turn of mind, I never asked about them
nor connected them with "Dr. Howe's Sunday roast o' beef."
On the south side of the Square, between Boylston and Dunster
Streets, were the oldest buildings: three frame houses, with shops built
into their lower stories. The two-story house on the corner had an unusu-
ally wide gable with an arched window in the middle and a window on
each side, all still having blinds. The next, on the other side of what had
been a lane across which the shops had been built, was a former farm-
house, end on to the Square and built close against an old tavern. I can-
not remember the exact sequence of the shops except the first and last.
The first was the grocery store of James H. Wyeth, a friendly rival to
Wood and Hall. It had been recently moved here from Brattle Street,
near Ramsay's. Mr. Wycth was a familiar figure in the town, another
good fellow citizen. He retired many years later to grow oranges in
Florida. In the second story of that building a young Swede had recently
established a shop for framing pictures. His name was J. F. Olsson and
his family carry on the business today.
I should say that Richardson's bookstore was next to Wyeth's. This
became that of Amee Brothers later. Here it was that Lee L. Powers
was He
introduced to Cambridge commercial circles, where he eventually
made a reputation as an unusual, if not lovable, character. graduated
from the sale of books to that of antiques in general and furniture in par-
ticular. Then there was Mann's (afterwards Moriarty's) Boot and Shoe
Store, where my earliest shoes, "ankle-ties," and rubber-boots were
bought. All those shops were low-studded and this may have been built
into the passage - because I remember a back shop with a ceiling light
over it. The Mann Brothers were as like as twins, undersized and always
seeming to me like gnomes in a cave. The days of "packaging" had not
arrived and when any kind of footwear was desired, the salesman groped
in a large deep drawer, containing quantities of shoes of the type desired.
When he had got hold of one shoe, he pulled it out. The mate came with
it because they were fastened together by a string which ran from shoe
to shoe through the stiff part just above the heel. A knot at each end of
the string kept the shoes from being disconnected.
HOWE: HARVARD SQUARE IN THE 'SEVENTIES
23
Mr. Charles Eliot Norton is my authority for the statement that the
last of these compartments, the waiting room of the Street Railroad, was
in a part of what had been Willard's Tavern. It was an unattractive, dingy,
low-studded room; very dark, although its whole front was of glass. In
winter it was heated by an airtight stove. Next to this building, where
the Cambridge Savings Bank is now, was a three-story brick building on
the ground floor of which was a confectioner's shop. This was originally
kept by a man named Belcher, a cheerful bearded man with a smiling and
bossy wife, but they disappeared from the picture very early, when they
sold out to their saleswoman, Miss Martha R. Jones, who became one of
the most noted people in the Square. We delighted in her sign on the
window, M. R. Jones, and to call her Mr. Jones was scarcely a misnomer.
In an age when sport clothes were unknown even to men, and all women
were dressed in supremely feminine garb, Marthy Jones's costume was
distinctly mannish. She probably would have rejoiced in "slacks," but at
that time it was against the law for women to wear trousers, SO she wore
a very masculinc-looking coat over her long plain dress. Her hat also was
more or less like a man's, of a shocking bad type, and I can not remember
her in any other dress. But she sold good candy to the muffled rumble of
a printing press on the floor above, on the site of Stephen Daye's press,
the first in the Colonv. We must have bought our icecream from her too.
Down Dunster Street, past the car barns and on the other side of
Mount Auburn Street, was Wright's Bakery. Mr. Wright's son, George
Wright, was another of our leading citizens and a member and benefactor
of this Society. Here it was that we bought brown bread for Saturday
night or Sunday morning, and we could have bought baked beans too.
And we did buy Brighton biscuits, large scalloped cookies with shiny
granulated sugar all over them.
Across Dunster Street from Martha Jones's were two modern build-
ings, Little's Block and Holyoke House.) These had students' rooms up-
stairs, I suppose the first expansion of the College from the dormitories in
the Yard; forerunners of Beck Hall and the Gold Coast. On the ground
floor were the most modern shops. There was F. E. Saunders' Drygoods
Store on the corner. Here were obtainable all sorts of what are known
as "small wares" and many other things. It was said that Edith Long-
fellow bought her wedding dress here, when she married Richard Henry
Dana, Third. That was the first place where I remember buying any-
24
THE CAMBRIDGE HISTORICAL SOCIETY
thing. What it was I do not remember, only that my watchful aunt Miss
Mary Howe was supervising the purchase and she reproved me for hand-
ing my money to the saleswoman before I received the equivalent. And I
remember the money too. It was a twenty-five cents bill, a greenback,
like a small dollar bill. I never saw a silver quarter of a dollar until I was
as much as twelve years old, when the United States resumed specie pay-
ments after the Civil War. We then just said THE WAR.
Mr. Saunders was famous for his Ollendorffian remarks, somewhat
like a foreign phrase book. When you asked him for something he did
not have he suggested something else which was not usually in the same
class. It was possibly his way of stimulating trade. That was the first
store where I ever saw a sale of Christmas goods, and more than that,
they were Japanese. Probably the first unloading of the products of Japa-
nese cheap labor! Many of them were very pretty and wonderful for a
child to buy. I think I still have a Japanese lacquered glove box which
must have come from there.
John H. Hubbard kept the apothecary shop next door. The same
shop you know as Billings and Stover's Drug Store. Many years after his
retirement, I met him and he showed me a tintype of himself standing be-
side a big high-wheeled bicycle. He told me with pride that it showed
he was a pioneer in two things, amateur photography and bicycling. He
had of course developed and printed the tintype himself. I have been
told that he played the trombone in the Pierian Sodality orchestra for
many years. My acquaintance with a soda fountain began in this shop,
but that was some years later. There was no icecream in the soda, only
a sweet syrup. We preferred to go for that to Mr. Bartlett's store, which
was, I think, where the Cambridge Trust Company is now. Probably
this was on account of the personality of Mr. Bartlett, who served us
himself and liked to talk to us.
The University Book Store was distinguished and stylish. It did not
look like a country store as many of the others did. Of course I was
proud to go there, because Mr. Sever, who kept it, was the father of my
very intimate friend and much of my playtime was spent at his house. He
was a handsome man, rather grave and severe, and I held him in awe,
though he was always very kind to me.
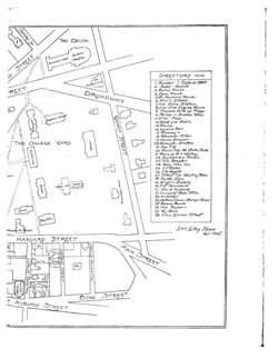
Probably no one ever thought of Harvard Square as "pretty," yet if
we could see it today as it was fifty or sixty years ago, we should say that
Church
HARVARD
35
SQUARE
36
CAMBRIDGE
THE
AND ITS
COMMON
ENVIRONS
1872 ~ 1882
JOLDIER'S FY MONUMENT
Scale
1004 & 200 H
Holder.)
The Elm Washington
chapel
GARDEN STREET
38
[
OLD BURYING
GROUND
ml
Arb
16
MOUNT AUBURN STREET
(ilv
guilding
THE DELTA
Sundars
Street
Hall
Theatre
I
DIRECTORY 'co'
Old
GY'
nasium
/ Number / Oxford street
2 "Jones" House
REET
3. Bates House
BROADWAY
4. Dana House
5.0r Wyman's House.
6 Pike's Stable.
7.Old Police Station.
8.Old Fire Engine House
a
9. Probable SiTe of Forge.
10 Farmer's Butcher Shop
11.WJ Shop.
12 Wood and Hall's.
13 Banks-
14 Lyceum Hall.
15 Ramsay's
16 Alexander Millan.
JESSE
17 David Brewer
THE COLLEGE YARD
.18.Worcester Brothers
19. Miss Fite
20 House like the Bates House
21 House of W.L.Whitney.
22. House.
Humphrey
23.Tom Brewer
-
24. Holly Tree Inn.
25. I.P.Estes.
26. J.H.Wyeth.
'ump
27 Street Car Waiting Room
28. Martha Jones.
29. Wright's Bakery
Gore Holl Libra'
30.F.E. Saunders
31 John H.Hubbaid
32 University Book Store
33. Mc Elrey's
34 Apthorp House Bishop's Palace
35 Holmes House
36. Mrs Baker's
Grays
37. Foy House
38. TWO Garden Street
Boylston
Wadsmonth House
Lois Lilley Howe
del-1945
HARVARD STREET
32
33
MAIN
STREET
34
Bow
STREET
T AUBURN STREET
HOWE: HARVARD SQUARE IN THE 'SEVENTIES
25
it had a certain charm. While many of the buildings were not beautiful,
none were hideously commonplace. The low country-like fence around
the College Yard and the lawns between that and the College buildings
made the Yard all of a piece with the Square and gave a quality and
atmosphere which has now entirely gone. Wadsworth House, instead
of being huddled in between other buildings, looking as if it had made its
last stand at the edge of the sidewalk, had a yard in front of it with a
lilac hedge between that and a handsome Colonial picket fence, all of a
piece with its old New England charm. There was also a row of trees
along that side of the street. (This was Main Street then.) All this
vanished when the street was widened, some time in the nincties, I think,
on account of the electric cars. Might we call this the first step in
"mechanization"? There were trees in front of Lyceum Hall and College
House too. I do not remember the big elm with a low stone wall around
it, near which stood a watering trough and the hay scales. As far as I can
make out from photographs, these stood just about where the subway
station now stands. They were removed in the early seventies because
they obstructed traffic!
The Square, then, as I remember, had some of the charm of an open
space and was not too crowded. But there was one important feature
which we never thought even picturesque until it was gone forever -
the horse.
Horses were everywhere; on the tradesmen's carts, on the ice carts,
the express wagons, as well as on the private carriages of our more wealthy
citizens. Likewise there were the horsecars. Funny little things we should
think them now, used as WC are to huge electric cars and busses, not to
mention stream-lined automobiles and enormous trucks. They were
low and square and yellow with flat roofs. Each was drawn by two stal-
wart horses (four when snow was on the ground). These were brought
up from the car-barn on Dunster Street all harnessed, with pole and
whiffle-tree to hook on to the car whose horses were to be changed.
Stout-bearded Irishmen brought them. I remember one jolly "Brian"
with a Falstaffian figure, a brown beard and a twinkling eye. He used to
bring pails of water for the horses from the watering trough and pump
for this purpose in front of Dane Hall.
There was not SO much changing of cars in the Square. You took the
car you wanted in Boston and came out through Main Street, now
26
THE CAMBRIDGE HISTORICAL SOCIETY
Massachusetts Avenue. Some cars went up Brattle Street, some up
Garden Street, some up North Avenue, now Massachusetts Avenue.
People who lived on Kirkland Street did not have to come to the Square
to go to Boston. They could take a Broadway or an East Cambridge car.
Each car had a driver and a conductor. You did not pay as you entered;
the conductor came through the car to get your fare, no matter how
crowded it was.
These officers did not wear uniforms, unless the huge buffalo-skin
coats and caps the drivers wore in the winter might be SO considered.
For these the modern expression "battle dress" would seem to have been
appropriate when we think of their driving across the West Boston Bridge,
one and a quarter miles long, in stormy winter weather. I think, if you
look up the facts, which I give from memory, you will find that even
after electric cars came in, the vestibules were not enclosed for several
years. There was great discussion about it. Many people thought the
motor men would not be able to see as well and were sure reflections on the
glass would be confusing and dangerous. Hence the curtains which they
sometimes drew across.
The passengers inside the cars, though shielded from the fury of the
elements, were also cold. The Company did its best by filling up the
floors of the cars with straw, which helped indifferently well to shield
the passengers' feet from drafts from the floors. It was changed quite
often but could not be kept very clean when snow melted into it and mud
joined the snow. - But what pleasant, neighborly visits we had on those
long cold rides, as well as in the summers when the open cars were used.
There were hay scales in front of Dane Hall, then the Harvard Law
School, and also a stand, not of cabs, but of express and "job" wagons.
Sawin's Express was the only express, but I remember that Henry Lewis,
a tall colored man, who tended our furnace, had a cart there. According
to the fashion of the time, it was very high with a high scat across the
front, and was for "furniture moving" purposes. Moving, in those days,
was not done with discreet closed and padded vans, but in such a wagon
as I have described. Some care was exercised to protect the handsomer
pieces of furniture, which were put at the bottom of the load and covered
with fairly clean cloths. The shabby pieces were on the top, inadequately
draped with bits of burlap. This arrangement made a load of furniture,
HOWE: HARVARD SQUARE IN THE 'SEVENTIES
27
even of one of our most wealthy citizens, look a good deal like a Morgan
Memorial wagon on a day when it has made a good haul.
But to return to the shops. There was not really much of interest
beyond Holyoke Street. There was to be sure the "Bishop's Palace"
(the Apthorp House, now Adams House, the Master's residence). Al-
ways mysterious to me, it stared across a dead garden where are now
shops, instead of a picket fence along the Street. There was another little
delta between the foot of Quincy Street and Main Street, with a fence
around it. But near the further corner of Holyoke Street was one most
important shop. Over it was the sign "Confectionary," and within, the
proprietor, who looked like the knave in a pack of cards, only he did not
wear a hat, sold candy and toys. I have been told that he served icecream
in his back shop and that as the floor was cold because there was no cellar,
he had straw laid under the woolen carpet.
In the front shop was the candy, sometimes chocolate mice with
brown string tails, and more important, paper dolls, with famous or dis-
tinguished names. I only remember Clara Louise Kellogg. Was she an
opera singer? How illusory is fame! She came printed in colors all ready
to cut out and with dresses, too. And there were china dolls of several
sizes and prices suited to the infant purse, but all alike, perfectly stiff
with only the arms sticking out as if to join in a boxing bout. Sex was
determined by the hair - worn in bunches over the ears and a pointed
pompadour by the boys, and in curls around the head by the girls. Very
valuable and precious these were, and easy to dress with very little ma-
terial, except that the legs being almost tight together, it was hard to
manage trousers for the boys. The dolls were very easily broken and SO
had to be replaced when one's budget permitted.
And from this shop I usually skipped happily home along the path
between Gray's and Boylston Halls and past University, taking care, of
course, not to step on any crack in the flag-stone walk, though some of the
stones on that path were very wide and it was extremely hard to manage
those with one step each.
The Romance Of Street Names In Cambridge The Cambridge Historical Society
Page 1 of 5
HIS
S
TheCAMBRIDGEHISTORICALSOCIETY
HOME
EVENTS
ONLINE RESOURCES
PUBLICATIONS
LIBRARY AND ARCHIVE
HOOPER-LEE-NICHOLS H
The Romance Of Street Names In Cambridge
Se
Submitted by Ken2 on Tue. 12/03/2013 - 2:26pm
Searc
Author: Frances H. Elliot
(sid)
Volume: 32
An
Pages: 25-29
Year (
Years: 1946
prese
Copyright: 1949
Publishers: Cambridge Historical Society
THE ROMANCE OF STREET NAMES IN CAMBRIDGE
BY FRANCES H. ELIOT Read April 23, 1946
I realize I live in a city teeming with romantic, historical street names. How sorry I feel for those
Fin
people who have to tramp on numbered streets, or alphabet, or even on tree and flower streets -
so I invite you to walk with me on some of the streets of my native City of Cambridge. Shall we
walk down Brattle Street first - noticing the beauty of the curves of that old highway as it follows
the banks of the Charles River, the street laid out by the first dwellers in Cambridge as the easiest
path toward Watertown? Brattle Street was named for General William Brattle - a Tory, who lived
in one of the lovely old houses known as Tory Row, many of which still lend graciousness to the
street. In our imagination we can see the scarlet-coated, rapiered figures walking up and down on
Ne
red-heeled shoes offering the hospitality of their snuff boxes to the friends they meet, or with their
Check
ladies, gowned in hoop skirts and wigs, driving in coaches to take tea with one another, before
and L
they were forced to flee the country in the Revolution.
Then we might turn up Sparks Street, named for a former President of Harvard, and dwell on the
Pre
idiosyncrasies of the President's wife, whose form of punishment for her daughter was, with each
misdemeanor, to take a tuck in her skirt, and, as in those days the mere sight of an ankle caused
Public
consternation, you can realize, that as the errors accumulated, and the skirts of the unfortunate
make
culprit rose higher and higher to the knees, what a confining life the young damsel must have led.
From Sparks Street to the next street is a short distance and I remember how a stranger, riding in
the horse car, inquired of the driver what the name of the street was at which she wished to alight,
describing it as a street bearing a noble name, and how he immediately replied "You mean
Buckingham, Ma'am."
Viewer Controls
Toggle Page Navigator
P
Toggle Hotspots
H
Toggle Readerview
V
Toggle Search Bar
S
Toggle Viewer Info
I
Toggle Metadata
M
Zoom-In
+
Zoom-Out
-
Re-Center Document
Previous Page
←
Next Page
→
[Series III] Cambridge
| Page | Type | Title | Date | Source | Other notes |
| 1-21 | Journal Article | Harvard Square in the 'Seventies' and 'Eighties' / Lois Lilley Howe | Read 1/25/1955 | Cambridge Historical Society Proceedings, v. 30: Papers Read During the Year 1944 | Annotated by Ronald Epp |
| 22 | Website | The Romance Of Street Names In Cambridge / Frances H. Eliot | Read 4/23/1946 | web address no longer accessible | - |